Con información de VOA.
Los meteorólogos pronostican que el centro del huracán Milton tocará tierra el miércoles por la noche en la costa centro-oeste de Florida.
El estado de Florida, en el sureste de Estados Unidos, se preparaba el miércoles para la llegada del poderoso huracán Milton en medio de advertencias de fuertes lluvias, fuertes vientos y marejadas ciclónicas que podrían poner en riesgo la vida.

Los meteorólogos dijeron que se esperaba que el centro de la tormenta tocara tierra el miércoles por la noche en la costa centro-oeste de Florida. Esa región incluye la bahía de Tampa, una ciudad de 3,3 millones de habitantes que no ha sido golpeada directamente por un huracán desde 1921.
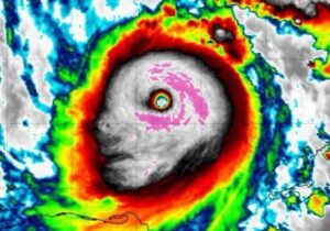
«Milton tiene el potencial de ser uno de los huracanes más destructivos registrados en el centro-oeste de Florida», dijo el Centro Nacional de Huracanes de Estados Unidos.

Hubo especial preocupación por la marejada ciclónica, el aumento del nivel del agua impulsado principalmente por los fuertes vientos de la tormenta a medida que avanza hacia la costa. El Centro de Huracanes dijo que los niveles de la marejada ciclónica podrían alcanzar los 3-4,5 metros en áreas cercanas a donde el ojo de la tormenta toque tierra.
Las advertencias de marejada ciclónica estaban vigentes el miércoles para casi toda la costa oeste de la península de Florida, que abarca 500 kilómetros.

Las carreteras estaban concurridas el lunes y el martes, debido a que la gente siguió las órdenes de evacuación obligatoria y voluntaria para escapar de la trayectoria del huracán, mientras que quienes optaron por quedarse hicieron los preparativos finales para soportar la tormenta.
El huracán tenía vientos máximos sostenidos de unos 260 kilómetros por hora el martes por la noche, lo que lo convirtió en una tormenta de categoría 5 en la escala Saffir-Simpson de cinco niveles. Se espera que las tormentas de esa magnitud causen destrucción generalizada y daños a las viviendas y cortes de energía duraderos.

El Centro Nacional de Huracanes dijo que se esperaba que las áreas del centro y norte de Florida recibieran entre 15 y 30 centímetros de lluvia, con cantidades mayores en algunos lugares. Se espera que la tormenta cruce Florida y entre en el Océano Atlántico el jueves.
«Evacúen ahora, ahora, ahora», aconsejó el presidente de Estados Unidos, Joe Biden, a los residentes de Florida el martes desde la Casa Blanca. El presidente ha cancelado los viajes de esta semana a Alemania y Angola para permanecer en Estados Unidos y supervisar los preparativos y la respuesta a Milton, dijo la Casa Blanca.












