Por Mario Tumín | Derivado de seis allanamientos en los Municipios de Champerico, Santa Cruz Mulua y el Asintal Retalhuleu Realizados por Investigadores de DIPANDA, con el apoyo de agentes de la comisaría 34 en coordinación con fiscales del MP. notifican órdenes de...
Resultados de su búsqueda
Familia originaria de Quetzaltenango se accidenta en Sololá
Por Fredy de León | Este jueves la familia López García, originaria de Quetzaltenango, salió ilesa en un accidente de tránsito en la RD-04 ruta de Las Lagunas. El conductor del picop P-159KCW perdió el control y volcó en el kilómetro 167 de la citada ruta. Bomberos...
PNC lanza campaña «Un juguete por mi comunidad»
Por Multimedia Stereo 100 | Este jueves, en el auditorio de la Policía Nacional Civil (PNC), lanzan la campaña Un juguete por mi comunidad, la cual tiene como objetivo la recolección de juguetes no bélicos para niños de recursos económicos limitados de Guatemala. En...
Ligan a proceso a hombre señalado de matar con un mazo a su vecino
Por Fredy de León | El juez Otto Felipe Vásquez, del Juzgado de Primera Instancia Penal de Sololá, ligó a proceso y envió a prisión preventiva a Manuel Eduardo Tzep Chox, de 32 años, quien es señalado de atacar con un mazo a un vecino, a quien le causó la muerte....
Cultivos de café para superar la violencia en Colombia
El café se ha convertido en el motor de reconciliación y prosperidad económica para las víctimas y victimarios del conflicto armado en Colombia, específicamente en la localidad de Planadas, donde hace 60 años nació la extinta guerrilla de las Fuerzas Armadas...
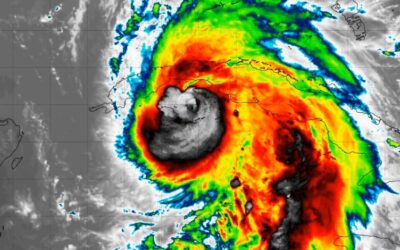
Huracán Rafael se debilita a categoría 2 tras golpear a Cuba y causar nuevo apagón total
El huracán Rafael se debilitó el jueves después de golpear a Cuba como una poderosa tormenta categoría 3 y dejar a la isla sin electricidad, mientras las autoridades cubanas se esfuerzan por devolver la energía a unas 10 millones de personas. La red se colapsó el...
Trump recibe felicitaciones e invitación a la Casa Blanca para avanzar en la transición
Donald Trump pasó su primer día como presidente electo recibiendo llamadas telefónicas de felicitación de su oponente derrotada, de líderes mundiales y del mandatario Joe Biden, mientras comenzaba el proceso de convertir su victoria electoral en un gobierno. Trump...
Efemérides100 | 7 de noviembre.
Por Fernando Castellanos | El 7 de noviembre de 2012. Se produce un terremoto que causa varios daños principalmente en el Departamento de San Marcos. El terremoto de San Marcos en el 2012 fue un movimiento telúrico con una magnitud de 7,4 Mw, ocurrido el miércoles 7...










