Por Henry Popá | Este lunes, el Centro de Operaciones de Emergencia (COE) de Quetzaltenango se reúne para definir acciones por el paso del huracán Iota. https://twitter.com/stereo100xela/status/1328347158731517955 El COE se declara en sesión permanente por el paso del...
Resultados de su búsqueda
Buenas noticias sobre la vacuna contra el COVID-19
Moderna ha asegurado este lunes que su vacuna experimental es un 94,5% efectiva para prevenir el Covid, según los datos provisionales obtenidos de un ensayo clínico en etapa avanzada, convirtiéndose así en la segunda compañía estadounidense en una semana en informar...
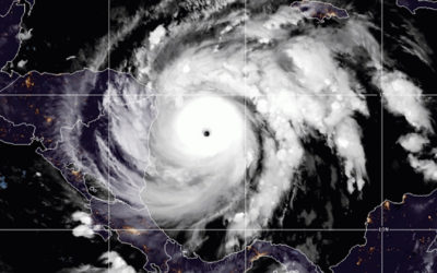
Pronostican que Iota sea un catastrófico huracán categoría 5 esta noche
Con información de cnnespanol. El huracán Iota se ha intensificado a categoría 4, el sistema podría incrementar las lluvias desde este lunes sobre los departamentos de Petén, Izabal, Alta Verapaz, Baja Verapaz, Norte de Huehuetenango y Quiché, NorEste de Zacapa y...
Artista brasileño pinta mascarillas, simulando rostros
Vía Diario Libre Jorge Roriz solía crear el mágico mundo del Carnaval de Río de Janeiro con sus coloridos trajes, pero debido a la pandemia ha dado un giro a su arte. sus 65 años es conocido también por elaborar fantásticas carrozas. El artista pinta la parte inferior...






